Detento é flagrado com 9 celulares e 52 objetos no estômago
Detento é flagrado com 9 celulares e 52 objetos no estômago
16/01/2019 - 22:00
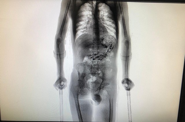
Um detento de 24 anos da Colônia Agrícola Penal de Palhoça, na Grande Florianópolis, precisou passar por cirurgia após retornar de uma saída temporária de sete dias. Ele foi flagrado com 61 objetos dentro do estômago. O caso foi registrado na terça-feira (16).
/i.s3.glbimg.com/v1/AUTH_59edd422c0c84a879bd37670ae4f538a/internal_photos/bs/2019/I/G/8rL2MLRY2OrQGWHz9i0A/whatsapp-image-2019-01-16-at-11.46.07-1-.jpeg)
Ao passar por um scanner de revista corporal, foram encontrados nove celulares e mais 52 objetos como cabo USB, isqueiro, drogas, entre outros.
De acordo com a Secretaria de Justiça e Cidadania, ao entrar na unidade, os agentes desconfiaram do comportamento do detento, que é portador de necessidades especiais e usa muletas. Quando ele foi submetido ao detector, o equipamento sinalizou a presença de metal.
Os agentes levaram o preso até o Complexo Penitenciário do Estado, em São Pedro de Alcântara, onde realizaram nova inspeção de imagens com o aparelho de scanner e detectaram os objetos metálicos no estômago.
/i.s3.glbimg.com/v1/AUTH_59edd422c0c84a879bd37670ae4f538a/internal_photos/bs/2019/T/F/VzK32WSsmpCvxTgTgY1g/whatsapp-image-2019-01-16-at-11.46.07.jpeg)
O homem passou por cirurgia, e nesta quarta-feira (16) segue internado e passa bem. A secretaria informou que o preso vai responder criminalmente pelo caso.
O preso já respondia por porte ilegal de arma, roubo e tráfico de drogas.